Skip to content
  • Home
  • Privacy Policy
  • Terms and Conditions
  • About Us
  • Contact Us

SmartSeoTool

  • Story of The Day
  • News
  • Recipes
  • Visionary
  • Toggle search form

Hurricane Season Awareness: U.S. Coastal Regions Step Up Preparedness

Posted on October 19, 2025 By author author No Comments on Hurricane Season Awareness: U.S. Coastal Regions Step Up Preparedness

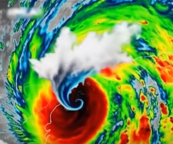
The United States remains vigilant during hurricane season, as several states consistently face heightened storm vulnerability. Florida experiences the highest number of hurricane landfalls, followed closely by Texas, Louisiana, and North Carolina. Coastal regions such as South Florida, the Outer Banks, and the Northern Gulf Coast frequently prepare for major storms that can occur every few years.

One of the most serious dangers during hurricanes is storm surge, particularly in low-lying areas with flat terrain. Cities like Miami, New Orleans, Tampa, New York, and Savannah are especially at risk when water levels rise rapidly along the coast.

Inland flooding also poses a significant threat, accounting for a large percentage of hurricane-related fatalities. Even communities located far from shore, including those in inland Texas, may experience severe damage as storms retain their power while moving across land.

Experts note that climate change is contributing to shifting weather patterns, with stronger hurricanes pushing their winds and rainfall further inland. Over time, the number of major hurricanes has shown an upward trend. To support preparedness efforts, tools such as FEMA’s National Risk Index and NOAA’s storm surge maps enable residents, local governments, and emergency teams to better understand and plan for potential impacts.

Story of The Day

Post navigation

Previous Post: Kid Kept Kicking My Seat the Entire Flight — My Dad Handled It Perfectly
Next Post: I Discovered My Husband’s Secret Motive After 15 Years—And It Changed My Life

Leave a Reply Cancel reply

Your email address will not be published. Required fields are marked *

Copyright © 2025 SmartSeoTool.

Powered by PressBook WordPress theme